”„“y’n

@ƒŠƒ“ƒN¼“ށAƒoƒX’ā“k•ą5•ŖA“ģŒü‚«A¶ŠˆŠĀ‹«—Ē‚µI

•ØŒ”Ō† 9 ŠĒ—”Ō† 315
•ØŒŠŻ’n @Ć‰ŖŽsˆØ‹ę£–¼ŽO’š–Ś
•ØŒ–¼Ģ @£–¼ŽO’š–Ś ‡@†’n
‰æŠi @1,575–œ‰~ ’Ų’P‰æ @38.5–œ‰~
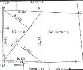
“y’n–ŹĻ @135.30‡ui40.92’؁j
’n–Ś @‘ī’n —p“r’nˆę @ˆźŽķ’†‚‘w’nˆę
Œš‚Ų‚¢—¦ @60“ —eĻ—¦ @150“
Œ»‹µ @Œš•Ø•t ’“ŽŌź @
Ś“¹ó‹µ @4.5‚Œö“¹‚É–ń4.7‚Ś‚·‚é
–@—ߏć‚̐§ŒĄ @
Œš•Ø–ŹĻ‹K–Ķ
Œš•Ø–ŹĻ ’z”N”
ź—L–ŹĻ ƒoƒ‹ƒRƒj[–ʐĻ
Œš•ØŠŌŽę
Ż”õ @ć…“¹F‰ŗ…“¹F“sŽsƒKƒX
ŠĒ—Œ`‘Ō “y’nŒ —˜ @Š—LŒ 
ŠĒ—”ļ C‘UĻ—§‹ą
‹¤‰v”ļ Œ_–ńŠśŠŌ
•~‹ąE—ē‹ą •ŪŲ‹ą
Šw‹ę @¼“Ž¬ŠwZF—³’Ü’†ŠwZ
Œš’Ź @Ć“SƒoƒXw£–¼ƒŠƒ“ƒN¼“Ž‘Ox
”õl @2‹ę‰ęFŒš•Ø“™‰š‘ĢX’n“n‚µ
ŽęˆųŒ`‘Ō

‹ę@‰ę@}

‹ę‰ę}


ŠO@ŠĻ@ŽŹ@^

ŠOŠĻŽŹ^


ŠOŠĻŽŹ^


L@ˆę@’n@}

Lˆę’n}


Ś@×@’n@}

Ś×’n}